Dans
les ouvrages Visages de Saint Léger parus
respectivement en 2001 et 2003, les Amis de Léo ont
tenté de retracer, grâce aux anciens plans,
lévolution de la commune, avant et depuis sa
création en 1863 :
- En 2001, le Tome 1
montrait le bourg avant le percement des grandes voies de
communication vers Cholet, Saint Macaire, Beaupréau et Le May,
puis lorsque ces routes ont été
réalisées. 
- En 2003, le Tome 2
montrait lexpansion de la commune, tant par le bourg que par
son territoire, réalisée grâce aux
échanges de terrain consentis avec les communes voisines,
notamment Cholet. 
Ici nous allons nous rendre
compte de limportant essor de la commune depuis 1970,
après la réalisation de nombreux lotissements, zones
artisanales, équipements et aménagements
publics.
Comme toutes les communes
de la couronne choletaise, Saint Léger s'agrandit. En 35 ans,
la superficie du bourg est multipliée par 17. Des zones
industrielles sont créées le long de la
déviation de l'axe Cholet-Beaupréau.
|
Voici
en 5 secteurs les différentes étapes de cette
expansion
|
|
1
-
nord-est
|
autour
de l'étang
|
|
2
-
nord
|
vers
Beaupréau
|
|
3
-
est
|
le
Landreau (jonction avec le hameau du Bas St
Léger)
|
|
4
-
sud-ouest
|
la salle
polyvalente, les terrains de sport
|
|
5
-
sud-est
|
la
gare du Petit Anjou
|

|
1-
nord-est : autour de l'étang
limité
par la rue d'Anjou et l'allée des Bois
|
Les lotissements ont
été réalisés en deux ou trois tranches.
La durée des travaux s'échelonne entre deux et cinq
ans.
Autrefois, l'accès aux fermes du Chêne-Souche et des
Rues se faisait par le Chemin Vert. Depuis, deux petites rues,
portant le nom de ces borderies, donnent accès par la rue de
l'Étoile. De chaque côté, des particuliers ont
acheté des terrains et construit leurs maisons.
Plus à l'est, le long de la rue de l'Étoile (jadis rue
de l'Étang ou ancienne route de Cholet, encore appelée
route du Pontreau) s'élèvent sans discontinuité
des constructions individuelles, jusqu'au lieu-dit le Bois
Joli.
|
Extraits
des bulletins municipaux concernant les 2 premiers
lotissements privés et le premier lotissement
communal
|
"Le conseil serait
désireux de voir s'ouvrir des possibilités d'achat de
terrain pour nos jeunes ménages, afin qu'ils puissent rester
dans leur commune. Un problème de lotissement est ouvert.
Espérons une solution sans trop tarder."
"Le conseil municipal a mis
avis favorable à l'implantation d'un lotissement privé
de 123 logements. Souhaitons que celui-ci se réalise au plus
tôt. Sinon, le conseil municipal devra trouver du terrain afin
de satisfaire les demandes qui sont assez
fréquentes."
"D'après les
derniers renseignements, le lotissement Lefort (l'Étang) doit
prendre forme incessamment."
"Cette même année, une demande de plan d'urbanisme
simplifié est faite auprès du service de
l'aménagement du territoire, ce qui nous permettra de donner
suite à nos projets d'aménagement en jardin de la place
publique actuelle (dite place de la demi-lune) et d'un parking
à l'angle de la route de St Macaire et de la route de
Beaupréau."
"Le conseil municipal en sa délibération du 16-5-67 a
limité l'agglomération aux endroits suivants :
- Route de Cholet, au panneau de St Léger qui est placé
à la limite de la commune
- Route de St Macaire, au cimetière
- Route de Beaupréau, chemin des Prés
- Route du May-sur-Evre, au chemin de monsieur Gefflot (le Chemin
Vert)
- Route de l'Étang, à l'étang
et a décidé le principe d'une réserve
foncière."

|
Future
rue de lÉtoile (route du Pontreau) vers
laérodrome et Cholet
|
"Le lotissement Lefort est
entré dans une phase active, la vente de la première
partie (une trentaine de lots) est presque terminée et
déjà des maisons s'élèvent."
"D'autre part, le conseil municipal ayant exprimé le
désir de faire un lotissement en bordure de la route du May
(entre le chemin Gefflot et la route de l'Étang), M.
Rousselot, propriétaire du terrain, a décidé de
faire un lotissement privé. Espérons que les terrains
resteront à des prix abordables, et ainsi nous verrons St
Léger s'agrandir et prospérer (
) Nous sommes
toujours en rapport avec les services d'urbanisme qui doivent nous
présenter à plus ou moins brève
échéance un plan sommaire d'urbanisme."
"La deuxième partie
du lotissement Lefort est presque totalement viabilisée et des
parcelles sont déjà vendues, plusieurs personnes ont
déposé leur permis de construire (
) Il est
dommage que le plan du lotissement Rousselot (face à la
Coularderie) ne soit pas encore déposé à la
préfecture."
|
1971
- lotissement de l'Etang en cours de
réalisation
|
"Un lotissement communal
entre la route du May et la route de Beaupréau : un plan
présenté par M. Léger, expert, est à
l'étude auprès de l'enregistrement et des domaines.
Nous attendons avec impatience leur rapport, pour l'évaluation
et l'achat des terrains."
"Lotissement communal :
après de nombreuses démarches aussi bien près
des propriétaires des terrains que près de la
sous-préfecture et de la préfecture, un accord est
enfin intervenu et les signatures concernant l'achat de ces terrains
ont été effectuées le samedi 22 avril
1972."
"Les 33 parcelles du
lotissement communal (la Cajolerie) sont actuellement toutes retenues
et seront vendues sur le prix de 35 F le m² (
)
Malheureusement, ce lotissement se révèle très
insuffisant. Actuellement nous sommes en possession d'une vingtaine
d'inscriptions que nous ne pouvons satisfaire. Des rapports sont en
cours avec Messieurs de Vienne et Rousselot ainsi que Madame Pitois
pour l'achat de terrains."
"Lotissement de la
Cajolerie : 8 lots supplémentaires en vente, fin 1974 (
)
Vu les besoins en équipements sportifs de la commune le
conseil municipal a décidé la construction d'une salle
omnisport avec en annexe vestiaires, chauffage, sanitaires, salles
d'arbitres et salle pouvant servir de cantine et de salle de
réunion. Ce projet sera réalisé en 2 tranches
:
1- le gymnase par lui-même, en 1974
2- les salles annexes"
|
1983
- lotissement des Hameaux en cours de
réalisation
|
Les lotissements en cours
de réalisation se ressemblent ; voici fin 1995 le début
de celui du Moulin.
Un fin limier reconnaîtra facilement les traces, en 1er plan,
dun chariot élévateur de dernière
génération. Les structures, parpaings ou terre cuite,
sont achevées ici.
La mise hors deau est assurée par des toitures en tuile
à faible pente, généralisées dans notre
région :

|
2
- nord : vers Beaupréau
limité
par la rue d'Anjou et la rue des Mauges
|
La
Coularderie
1
: atelier de menuiserie, créé en 1972. L'artisan cesse
son activité en 1999.
2
: terrain et construction pour le transfert d'une fabrique artisanale
de parpaings. Elle sera condamnée par la production
industrielle en 1965. Ensuite s'installe un réparateur de
machines agricoles. En 1970, les locaux sont occupés par une
activité toute nouvelle : les grues sur camions. Cette
activité se maintiendra sur le site jusqu'en 2000.
Après la démolition du bâtiment, le terrain est
vendu en 3 lots constructibles.
|
Le
bâtiment côté rue des Mimosas pendant
linstallation des grues sur
camions
|

|
Le
bâtiment en cours de
démolition
|

Après
démolition, belle vue (momentanée) sur 5 des 6
bâtiments
construits impasse du Pré Archer en
1996
|
|
L'agrandissement
de la commune
|
Fin janvier 1973, M. Leray,
maire, accompagné par quelques conseillers et Michel
Léger, géomètre, accueillait M. Peneau
architecte urbaniste et M. Coquaz adjoint au directeur
départemental de l'équipement pour aborder le sujet
d'un développement sensé de la commune.
De
gauche à droite :
Alphonse Leray / Jean Tignon / Joseph Boisdron / Claude
Nerrière / Pierre Gefflot
Face à eux, MM. Peneau et Coquaz
|
|
Extrait
de l'article du Courrier de l'Ouest du 26-01-1973
|
"La
municipalité a un projet très séduisant,
établi par Michel Léger. 200 logements individuels en
accession à la propriété avec terrain de jeux,
plan d'eau, qui se situerait entre la route du May et celle de
Beaupréau.
C'est pour obtenir l'autorisation de lancer l'opération que la
réunion était organisée. Car il faut se tenir
dans les limites du Schéma Directeur d'Aménagement et
d'Urbanisme.
Le lotissement des Ajoncs s'étendrait sur une superficie de 18
hectares et l'opération pourrait continuer, d'autant plus
qu'à proximité une station d'épuration est
prévue.
Le projet a déjà reçu l'agrément de
futurs constructeurs puisque, pour la première tranche qui
comprendrait 35 maisons, 57 demandes ont été
enregistrées.
En préambule, les membres de l'administration posent quelques
questions :
"Que pensez-vous de votre développement ? Que sera St
Léger en 1985 ? et en l'an 2000 ? Quelles sont les
prévisions de population ?
- Réponse de M. le Maire : En 1968, nous étions
700 habitants, 980 en 1971, actuellement le millier est
dépassé.
- Pourquoi les gens sont-ils attirés chez vous ?
- Beaucoup de jeunes de la campagne ont trouvé emploi à
Cholet et veulent s'établir à proximité en
maisons individuelles.
- Vous risquez de perdre votre caractère de commune rurale !
Il faudra prévoir des équipements, grouper les
lotissements pour limiter les charges, également
prévoir des emplois. À ce propos, quel est votre
potentiel industriel ?
- Aujourd'hui, notre seule usine emploie environ 60 personnes dans la
fabrication de chaussures. Nous avons tenté d'ouvrir une zone
industrielle mais elle nous a été refusée par la
sous-préfecture. Cependant il faut poursuivre car avec
l'expansion les demandes d'emploi augmentent."
Ensuite étude du projet. Il entre dans le Schéma
Directeur d'Aménagement et d'Urbanisme et rien ne s'oppose
à sa réalisation. St Léger sous Cholet va donc
grandir rapidement.
|
Suite
des extraits des bulletins municipaux
|
"Un P.O.S (Plan
d'Occupation des Sols) est actuellement à l'étude dans
notre commune et verra son aboutissement fin 1975 (
) Compte
tenu de l'évolution démographique, il ne serait pas
raisonnable de gérer sans prévoir l'extension future de
l'agglomération (
) De plus en plus, des hectares de
terrain sont soustraits à l'agriculture, pour faire face
à l'agrandissement des villes et des bourgs. Création
de lotissements et implantation d'une infrastructure
nécessaire à la vie et au développement d'une
région : routes nouvelles ou élargissements, zones
industrielles, écoles et terrain de sports, équipements
socioculturels etc (
) Il sera établi différentes
zones bien délimitées : zones à urbaniser, zones
industrielles, zones pour le sport, les écoles, les
manifestations diverses et les zones naturelles."
"La commune vient de
procéder à l'acquisition de 34.360 m² pour la
réalisation du lotissement des Ajoncs."
"Devant les nombreux
problèmes posés par l'extension de notre commune et
pour que celle-ci se fasse d'une façon harmonieuse et
raisonnée, nous avons depuis 1975 travaillé à
l'élaboration d'un P.O.S. (
) Nos projets, maintenant
réalisés, d'échange de terrain avec Cholet, ont
retardé l'aboutissement de nos travaux d'étude mais
voilà toutefois que nous en arrivons au terme. (
) Nous
proposerons bientôt une journée d'information
spéciale P.O.S.
Les lotissements : après ceux de l'Etang, de l'Etoile, de la
Cajolerie, du Petit Anjou, sur celui des Ajoncs le village G.M.F.
(Groupe Maisons Familiales) est en construction. Il sera
entouré de constructions individuelles.
La zone industrielle : avec toutes ces constructions et ces projets,
notre commune a vite pris l'appellation de commune-dortoir. Les
modifications de l'axe Cholet-Beaupréau donneront un espace
propice à la création d'une zone industrielle
légère qui apporterait recettes et emplois (
)
C'est ainsi que le projet a pris rapidement forme et fut l'objet de
sollicitations nombreuses de la part d'entreprises et d'industriels.
A ce jour, plusieurs parcelles sont pratiquement retenues et le
conseil municipal a pris la décision de construire une usine
à rétrocéder."
Baptême des rues
- Lotissement des Hameaux : rues de l'Étoile, des Acacias, des
Hameaux, allées des Bois, des Bosquets, des
Châtaigniers, des Frênes, des Peupliers, des Saules
- Lotissement de l'Église : impasse du Landreau
- Zone Industrielle : rue des Métiers
Lotissement de l'Église : Réalisation de la
deuxième tranche de viabilisation
Déviation de Saint
Léger : les travaux sont commencés le long de la zone
industrielle.
Urbanisme : on parle de
- Z.A.C. (Zones d'Aménagement Concerté) : la
Ferronnière, les Hameaux. Elles obligent les promoteurs
à suivre les exigences de la mairie.
- Z.A.D. (Zones d'Aménagement Différé) : les
Moulins, le Landreau, le Martinet. Elles donnent à la mairie
le droit de préemption sur des terres agricoles.
- Z.I.F. (Zones d'Intervention Foncière) : centre bourg, zones
industrielles. Elles donnent le droit de préemption en zone
urbanisée.
Zone industrielle : la
commune décide l'achat de 12 000 m² au lieu-dit le Bois
des Perches.
Z.A.C. de la Ferronnière : étude d'un projet de
convention avec un promoteur (15 lots)
Z.A.C. des Audouins : suite à la demande de l'Office Public
d'HLM, le conseil municipal accepte le projet (24 logements locatifs,
8 type 3, 10 type 4, 6 type 5).
|
3
- est : le Landreau limité
par la rue des Mauges et la rue de Bretagne
|
Après
son achat le 8 août 1987, la municipalité s'installe au
manoir du Landreau au cours de l'année 1988.
|
côté
parc, le jour de l'inauguration, le 4 novembre 1989
|
La grange
du Landreau a toujours stocké les produits de la culture :
hier, foin et paille, aujourd'hui, ouvrages littéraires. Cette
variante est inaugurée le 19 octobre 2001.

|
inauguration
du pôle culturel
|
|
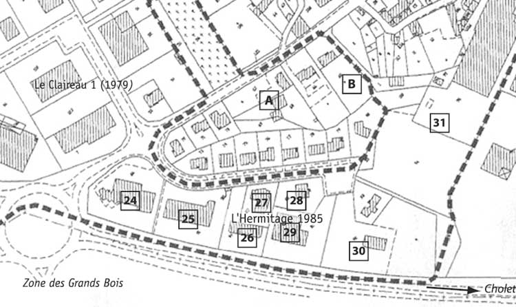
Suite
des extraits des bulletins municipaux
|
Projet d'urbanisation zone
de l'Hermitage
La Ferronnière : convention signée
Les Audouins : blocage
La commune décide l'achat d'une bande de terrain de 10 m de
large entre Espace Emeraude et les terrains de sport. Il y sera
aménagé une piste d'athlétisme.
Projet d'urbanisation zone
de l'Hermitage. Une partie de la zone industrielle est en cours de
réalisation, l'étude de la partie habitation se
poursuit.
Les Audouins : début de construction des logements
locatifs
Les Audouins : 9 lots en
prévision de constructions individuelles au dessus des
locatifs, vers Beaupréau
Les Audouins : 9 lots,
possibilité de sous-sol, 200 F le m²
Lotissement des Hameaux :
la commune demande au promoteur la finition des trottoirs en vue de
la rétrocession au domaine communal de l'ensemble des
réseaux et espaces verts.
Continuité des travaux des lotissements communaux :
l'Hermitage et les Audouins
Remaniement du plan cadastral : le plan cadastral napoléonien,
rénové en 1930, est encore en usage.
L'imprécision par rapport aux mutations foncières
actuelles oblige le remaniement des parties urbanisées et
à urbaniser.
Projet du lotissement du
Martinet I (8 parcelles)
Modification du plan d'occupation des sols pour les terrains
échangés avec Cholet (la Prairie, le Pontreau) et
classement de la surface occupée par les terrains de sport, le
foyer municipal, la salle omnisport en zone d'équipement
collectif
Lotissement du Martinet I
(8 parcelles). Tous les terrains sont retenus, une deuxième
tranche est envisagée.
Saint Léger compte 43 logements locatifs,
propriété de l'O.P.A.C. : 3 type 2, 17 type 3, 17 type
4, 6 type 5.
La commune a
procédé à l'acquisition de plusieurs parcelles
de terrain situées dans le secteur de la Prairie.
Travaux de viabilisation du Martinet II (19 lots)
Projet de locatifs pour
personnes âgées au Bas Landreau
Achat de la Bâtisse
Les travaux débutent
au Bas Landreau (8 type 2, 2 type 3)
Projet du lotissement des Moulins
1994 - Lotissement des Moulins : viabilisation de la 2e tranche (20
parcelles) et projet d'une 3e tranche (30 parcelles).
Lotissement des Moulins :
viabilisation de la 2e tranche (20 parcelles) et projet d'une 3e
tranche (30 parcelles)
|
Révision
du plan d'occupation des sols
|

Inauguration
de 8 logements locatifs sociaux T3 et T4 au Martinet
et 10 conçus pour personnes âgées au Bas
Landreau
derrière le Ministre De Charette, le président
de l'OPAC de Cholet Michel Léger
à ses côtés le sous-préfet Daniel
Barbier - le petit garçon est Tony Coutant
Le parc locatif communal est géré par
Sèvre-Loire-Habitat.
|
Continuité pour les
Moulins et prévision d'une 4e tranche
17 janvier :
réception des travaux du lotissement privé des
Moulins
Le Martinet III :
réalisation de la 1re tranche et viabilisation de la
seconde
|
Les
maisons poussent au Martinet III.
|
Projet du Martineau :
environ 21 hectares répartis en 3 tranches pour construire
environ 170 logements.
Cet ensemble est
situé au nord de la commune, avec une voie principale est /
ouest, c'est-à-dire route du May / ancienne route de
Beaupréau, et jonction avec le Martinet III.
|
4
- sud-ouest : salles de sport
limité
par la rue de Bretagne et la rue de la
Vendée
|
1
: salle polyvalente
- ouverte pour la saison 1974/1975
- agrandie en 1981 et doublée en 1990
2
:
foyer et cantine
- le foyer est inauguré le 27 juin 1977
- extension cantine en 1981
3
:
groupe scolaire public
- construction maternelle (partie gauche) en 1979
- construction élémentaire en 1982
|
La
salle (bleue) en cours de construction
|

|
la
nouvelle salle, angle côté école et
terrains de sport
|

|
l'école
publique, blottie dans le Bois de la
Cheminée
|
Le plan
d'occupation des sols délimitant les zones (naturelles,
urbanisées, industrielles) est établi à St
Léger en 1980 et modifié plusieurs fois. Les zones
D.P.U. (Droit de Préemption Urbain) sont créées
pour maîtriser l'urbanisation. Depuis 2000, quelques
constructions individuelles ont trouvé place en centre
bourg.
|
5
- sud-est : gare du Petit Anjou
limité
par la rue de Vendée et l'Allée des
Bois
|

|
la
station de St Léger en pleine activité, vers
1920
|
|
l'Intérêt
Public de Cholet - dimanche 27 mars 1921 - 72e année
- N°13



|
Cette
partie a été totalement acquise sur la commune de
Cholet. Les démarches se sont échelonnées de
1900 à nos jours.
Le train départemental dit " le Petit Anjou " est
inauguré en 1893. La société gérante
décide une liaison Beaupréau-Cholet mise en service le
4 septembre 1899. Sur ce tronçon, trois stations sont
créées, dont une à proximité du bourg de
St Léger, qui fermera en 1948.
Il y aura ensuite échanges avec des terrains près de
l'aérodrome pour porter la limite à l'entrée
actuelle de la commune. De l'autre côté de la rue de la
Vendée, il en sera de même, mais avec la commune de la
Séguinière.
|
Extrait
du bulletin municipal de l'année
1970/1971
|
"Afin de
permettre le développement de l'agglomération de St
Léger, une demande d'échange géographique de
terrain a été déposée au conseil
municipal de Cholet soit : 28 ha bordant le bourg de St Léger
contre 27 ha entre le village du Pontreau et l'aérodrome."
Cette demande est refusée l'année suivante et sera
conclue en 1977.
Ce sont des
zones industrielles légères, ce qui donne aux artisans
la possibilité de construire maison et atelier sur un terrain
vendu moins cher qu'en lotissement. Les usines à
rétrocéder favorisent également l'implantation
d'entreprises. Les efforts de la municipalité et des
employeurs installés font progresser l'emploi sur la commune.
1979 - L'artisan maçon a construit sa maison sur le terrain
le plus proche du centre bourg mais pas l'atelier, si bien
qu'après la cessation de l'entreprise, l'ensemble devient
propriété privée.
1979 - usine construite par la commune et
rétrocédée à une imprimerie, reprise par
la mécanique générale du lot 7 en
2000
1979 - entreprise de pose de plafonds suspendus, reprise des locaux
par l'injection plastique du lot 5 en 1990
1979 - vendu à un artisan tailleur de pierre, repris par un
artisan électricien en 1983 qui cède en 2005 au lot 5
1979 - entrepôt d'une importante entreprise de
maçonnerie, repris par un spécialiste de l'injection
plastique en 1986
1979 - tôlerie peinture automobile jusqu'en 1989, puis
entrepôt du lot 5 - depuis 2005, entreprise
d'électricité et climatisation
1978 &
1981 - première usine à rétrocéder sur
la zone, vendue à une société de
mécanique générale de précision, qui se
divise en 1981
1979 - usine à rétrocéder acquise par une
fabrique de talons en bois, reprise en 2005 par une entreprise de
tôlerie fine
1981 - transport routier, déménagement,
garde-meubles
1979 - entreprise de mécanique générale,
extension en 1989, puis agrandissement sur le lot 11 en 2005
1983 - entreprise de maçonnerie, puis annexe d'une entreprise
(coffres de volets roulants) en 2005
1985 - atelier et vitrine d'un artisan sculpteur sur
bois
1990 - produits chimiques (colles et adhésifs)
1985 - grossiste en produits pour la chaussure, la maroquinerie,
l'orthopédie, la podologie, extension sur le lot 16 en
2002
1990 - atelier et entrepôt d'un artisan chauffagiste de 1990
à 1992, ensuite loués puis acquis par le lot 16 en 1994
1994 - métallerie - aujourd'hui, l'artisan utilise le local
pour son usage personnel.
1982 &
1992 - vente de véhicules d'occasion, puis une Foire Fouille
occupe les lieux un an environ. Ensuite, en 1988, s'installe une
fabrique de vernis pour bois et chaussures. En 1992, le lot est
divisé, le 19 devient entrepôt d'un négociant
auto puis du lot 7. Depuis 2003, produits et entretien toitures et
façades
1985 - ateliers municipaux, extension en 2002 - également
entrepôt du comité des fêtes et de Saint
Léger Cyclisme
1983 - réparation et vente de machines agricoles depuis 1983
- auparavant, cette entreprise était installée à
la gare du Petit Anjou
1984 - fabrique de joints pour automobiles, bâtiment,
électroménager...
1969 - Un artisan en charpente métallique construit
entrepôt, atelier et habitation sur un terrain privé
à partir en 1969.
1977 - Un artisan peintre fait de même en 1977.
1985 - fabrication de coffres pour volets roulants, l'entreprise
progresse et s'installe sur la zone des Grands Bois en 1992. Les
locaux sont repris par une menuiserie plastique.
1985 - mécanique automobile, tôlerie - extension en
1989
1985 - réparation-vente de caravanes - En 1990, les locaux
sont repris par un modéliste patronnier en chaussures.
1987 - cabinet d'expertise et de comptabilité,
installé précédemment au-dessus du bureau de
tabac
1986 - cabinet d'architectes, agrandissement en 2001
1986 - vente et installation de cuisines, puis magasin pour vente de
pull-overs - reprise du site en 2003 par un fabricant et distributeur
de fil à coudre
1990 - réparation et vente de caravanes et de matériel
de camping
1973 - fabrique de chaussures. Première usine de Saint
Léger, elle a débuté en 1929 dans l'ancienne
auberge, à l'emplacement de la pharmacie. Sur son site actuel
depuis 1973, son extension lui a permis un accès par la rue de
l'Hermitage.
1976 - installation d'une entreprise de réparation et vente
de matériel agricole. En 1982, le site devient Espace Emeraude
et ajoute la vente d'outillage et de matériaux de
construction.
1979 - création d'une jardinerie qui est
transférée hors commune (1995-1996) - depuis, entretien
de voitures automobiles, location et entretien du matériel de
jardinage
2003 - emplacement nouveau pour la vente de matériaux de
construction
2006 - exposition-vente de véhicules automobiles
d'occasion
1985 - un artisan en restauration et copie de meubles anciens
réhabilite les lieux vétustes, logement, atelier, point
de vente. Dans ce même îlot (la Prairie) se situe le
bureau d'un moniteur auto-école.
2003 - emplacement de la maison médicale en fonction depuis
2003
1969 - situé en face des salles de sport, garage automobile
créé en 1969
|
La
vie de quelques entreprises
(extrait
du bulletin municipal de janvier 1992)
|


|
|
1968
|
2005
|
|
habitants
|
700
|
2700
|
|
emplois
|
60
|
700
|
|
lotissements
|
1
|
19
|
|
rues
nommées
|
0
|
60
|
Le
progrès pose, aujourd'hui comme toujours, les mêmes
interrogations mais, en 35 ans d'expansion, grâce aux efforts
des anciens et des nouveaux Saint-Légeois, la
convivialité reste de mise.
septembre
2005 - 10e rencontre des habitants du Martinet I et II
La quasi-totalité des habitants s'est
installée sur le grand espace vert,
situé entre les deux parties du lotissement et
bordant les deux rives du ruisseau le
Chiron.
|
Ces
nombreux espaces verts sont reliés par des sentiers, du
bonheur pour les riverains et les marcheurs ! C'est sans doute une
des raisons majeures du maintien de la convivialité. Il faut
ajouter la conservation de plus de 500 chênes centenaires en
agglomération.

septembre
2005 - 1re rencontre des habitants du Martinet III - Les
derniers ont aménagé fin 2004.
La rencontre a lieu dans le parc de la mairie, pour un
pique-nique sympathique.
|
|
retour
au sommaire
|
la
suite par ici
|
|